O Departamento de Estradas de Rodagem do Paraná (DER/PR), autarquia da Secretaria de Infraestrutura e Logística (SEIL), publicou nesta quinta-feira (06) o resultado da análise da documentação e planilha de preços da empresa convocada para a obra de novo viaduto na BR-369, em Londrina, empreitada conhecida como Viaduto da PUC.
A Contersolo Construtora de Obras, em consórcio com as empresas Dreno Construções e LL Zocco Projetos SS, sob a denominação Consórcio 369 Londrina, atendeu aos requisitos do edital e foi declarada vencedora da licitação, pelo valor de R$ 31,6 milhões.
Agora se inicia período de cinco dias úteis para interposição de recursos quanto ao resultado, com período igual para apresentação de contrarrazões. Depois, o processo segue para homologação e assinatura de contrato.
A Contersolo participou da disputa de preços da licitação em 2022 e ficou em segundo lugar. A empresa foi convocada após rescisão com o consórcio anteriormente contratado para elaborar os projetos e executar a obra, por não cumprimento de prazo contratual, entre outros critérios.
Os produtos já entregues serão analisados visando seu aproveitamento e maior celeridade no início dos trabalhos. A licença ambiental de instalação também já foi emitida pelo IAT.
- Homologada licitação para conservar estradas rurais de Mallet, São Mateus do Sul e Lapa
-
Perimetral Leste de Foz do Iguaçu tem primeiro trecho pavimentado
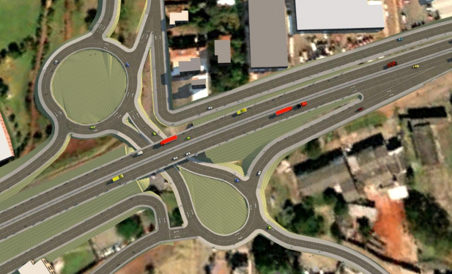
INTERSEÇÃO – A obra prevê uma ligação por interseção em desnível entre a Avenida Jockey Clube (acesso à PUC), Avenida Cruzeiro do Sul, Rua Geraldo Rodrigues e a Rua das Indústrias, sem interferir no tráfego de veículos da BR-369. Será elevada a rodovia federal e executada passagem inferior com duas pistas duplas ligadas a duas rotatórias, permitindo a entrada e saída na rodovia, assim como a ligação entre as vias municipais de acesso, separando o tráfego local do tráfego de longa distância.
As pistas novas terão duas faixas de rolamento de 3,5 metros cada, com acostamentos externos de 2,5 metros e faixa de segurança interna de 60 centímetros para cada lado, separadas por barreiras de concreto. As alças contarão com 6,5 metros de largura, sendo 5,6 metros de faixa de rolamento e 45 centímetros de faixa segurança de cada lado. Também serão executadas novas calçadas em concreto.
O prazo de execução do viaduto é de 12 meses, após assinatura do novo contrato e emissão da ordem de serviço.








