A cidade de Cruz Machado, no Sul do Paraná, é a Capital Nacional da Erva-Mate Sombreada. O título foi oficializado nesta segunda-feira (24), com a publicação da sanção no Diário Oficial da União da Lei 14.551/2023.
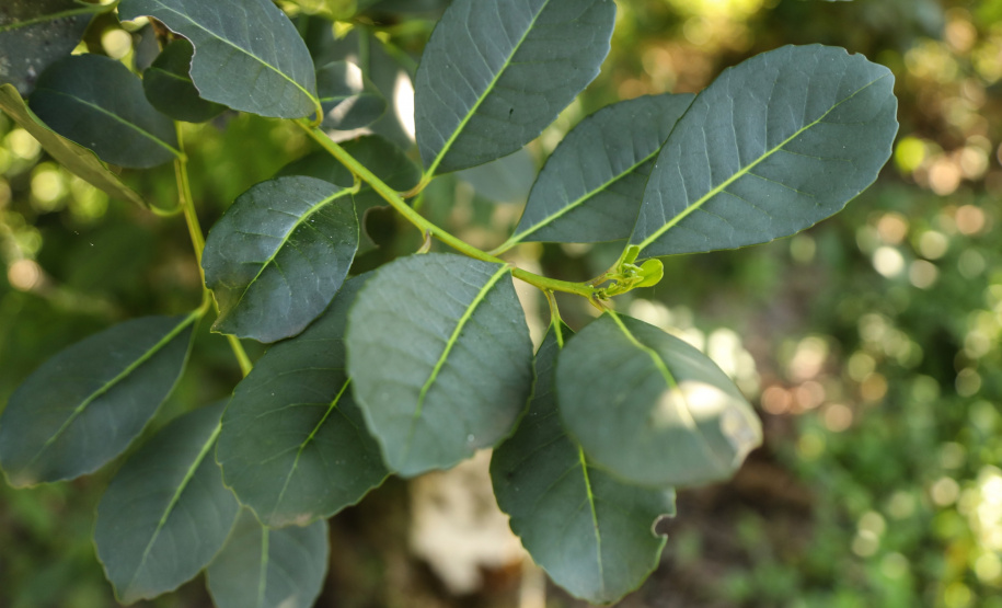
A erva-mate sombreada tem como característica o cultivo em meio a outras vegetações, incluindo a mata nativa. Cercada pelo verde, a erva cresce à sombra, diferentemente das árvores plantadas em campos abertos. Além de contribuir para a preservação das matas, a erva com sabor mais suave é valorizada financeiramente pelas indústrias.
“O Paraná é um dos estados mais ricos da Nação sobretudo em razão de sua produção agropecuária e, nesse segmento, a erva-mate foi responsável por um dos primeiros ciclos econômicos do Estado”, comentou o secretário estadual da Agricultura e do Abastecimento, Norberto Ortigara.
“Favorecida pela localização geográfica e pelo capricho com que as gerações trataram as matas da região, Cruz Machado soube aproveitar a floresta nativa para produzir uma erva-mate de sabor e valor diferenciados”, afirmou. “O desafio que se coloca é gerar inovação, produzir com sustentabilidade, alargar a base de consumidores no mundo, melhorar a renda e a qualidade de vida, um desafio que o governo também assume”.
- Estado começa a entregar 140 caminhões que contribuem para segurança alimentar
- Encontro de mulheres rurais destaca o protagonismo feminino e mostra apoio do IDR-Paraná
O levantamento do Valor Bruto da Produção (VBP), feito pelo Departamento de Economia Rural (Deral), da Secretaria estadual da Agricultura e do Abastecimento, aponta que, em 2021, o município foi o principal produtor de erva-mate no Paraná. Foram colhidas 115 mil toneladas, com VBP de R$ 175,7 milhões, o que representa cerca de 27% de todo o Valor Bruto de Produção agropecuária municipal.
O uso mais comum para a erva-mate é no formato de chimarrão. No entanto, pesquisas têm mostrado que podem ser agregados mais valores à planta, que pode ser transformada em essência para produtos alimentícios, farmacêuticos e cosméticos, entre outros.
Cruz Machado foi fundada em 1951 e possui 18,7 mil habitantes, de acordo com o Censo de 2020. A erva-mate ganhou destaque como produto agrícola há aproximadamente duas décadas e várias indústrias instalaram-se na cidade. O município promove em dezembro, juntamente com o aniversário de emancipação política, a Festa da Erva-Mate.












